(936) 564-2622
Contact
MENU
Listings
Homes
Land
Leases
CPRE Farm & Ranch
Lake Properties
Commercial
Buying
Residential Buyer's Guide
Residential Buying
Texas Property For Sale
Lake Living
The Charles Pool Real Estate Service Difference for Buyers
Five Secrets to Buying the Best Home for Your Money
Why Buying a Home is a Good Idea
Important Things to Avoid Before Buying a Home
Don't Buy a Car
How the Business Cycle Affects Buying a Home
Comparable Sales and Your Offer Price
Major Factors Influencing Your Offer Price
Basics of Offering to Purchase Real Estate
Writing an Offer - Safeguards
How Financing Details Affect Your Offer
How FHA and VA Financing Affect Your offer
Selecting Service Providers
Buyer's Remorse
Financing
Buyer's Roadmap
Oak Springs Subdivision
Raguet Reserve Subdivision
Timber Crossing Subdivision
Selling
Residential Selling
Proven Promotion
Seller's Guide
The Charles Pool Real Estate Service Difference for Sellers
Simple Solutions for Quick Sales
Showing Instructions for Sellers
Getting Your House Ready to Sell
Setting the Sale Price
Types of Listing Contracts
Details of a Listing Contract
The Listing Agent
Marketing Your House to Other Agents
Marketing Your House to Homebuyers
Showing Your House to Homebuyers
Seller's Roadmap
Leasing
About Us
History
The Charles Pool Real Estate Team
Designations and Affiliations
Testimonials
Celebrating 50 Years
En Español
GuÃa para el comprador
GuÃa para el vendedor
Historia
Sobre nosotros
La mejor inversion
4
View All
For Sale
Printer Friendly
$10,500
0.24
acre lot
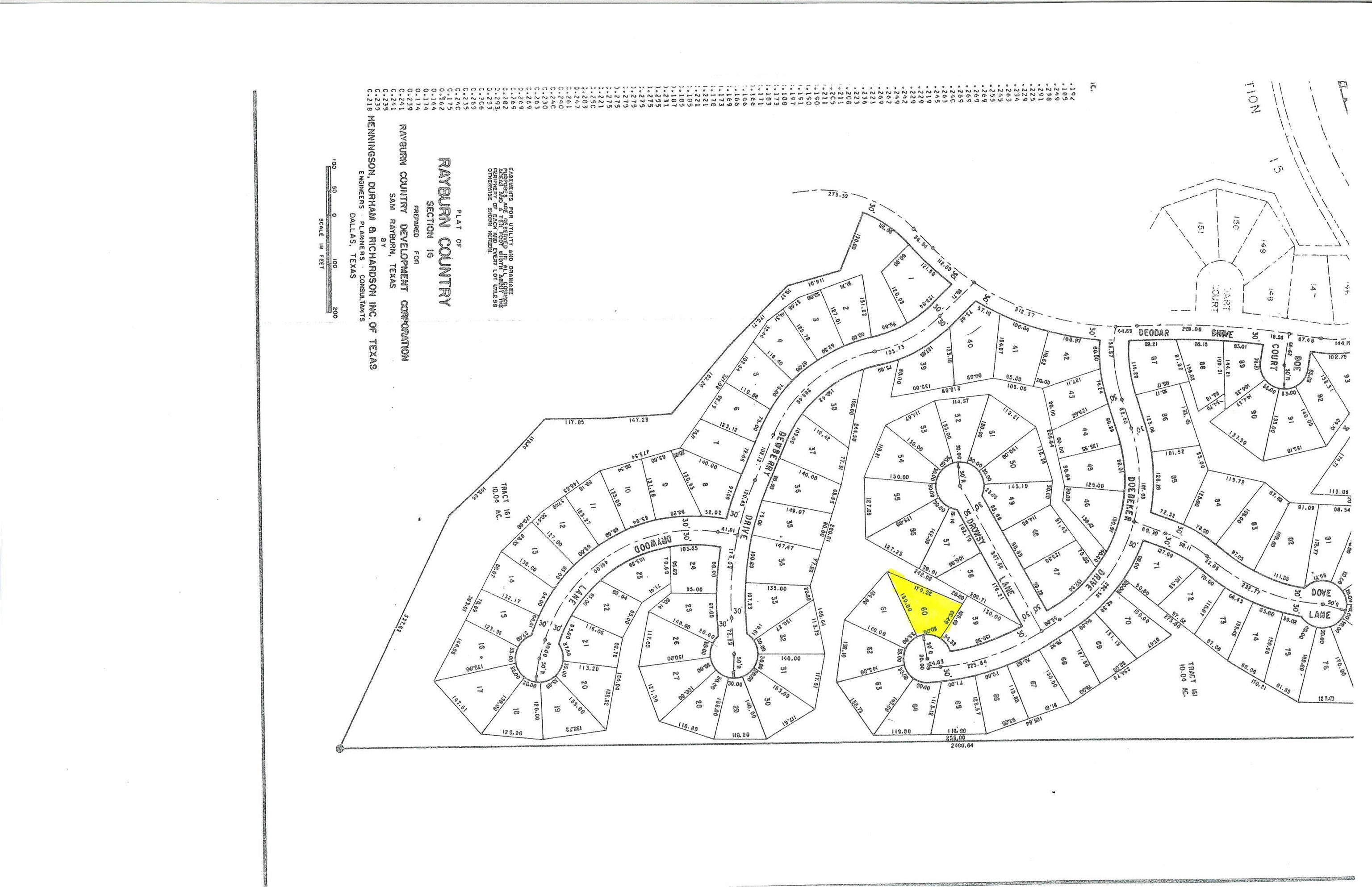
280 Doebecker, Brookeland, TX
Beautiful wooded lot in the desirable Rayburn Country. Nice level buildable lot. Close to Country Club, Golf, Pickle Ball and three Boat Launches.
Brokered by Allman Company
Interested in this property? Lets get in touch!
Call our office or send us an email.
(936) 564-2622
This property viewed 3 times on cpre.com
Selling, Leasing, or Investing in Commercial Real Estate?
Visit CPRE Commercial
Charles Pool Real Estate, Inc.
3505 North Street
Nacogdoches, Texas 75965
(936) 564-2622
OPENING DOORS for YOU for 50 Years
Texas Real Estate Commission
Consumer Protection Notice
Texas Real Estate Commission
Information About Brokerage Services